14 Aralık 2025'te Baykan ilçesindeki Şehit Bünyamin Torgut Polis Uygulama Noktası'nda durdurulan iki araçta yapılan kontrollerde, şüpheli tavırlar sergileyen İran uyruklu 3 kadın ve 1 erkek tespit edildi. Ekiplerin detaylı incelemesi sonucunda, şahısların uyuşturucu maddeleri batı illerine sevk etmek amacıyla yutma yöntemiyle bedenlerinde taşıdıkları belirlendi.

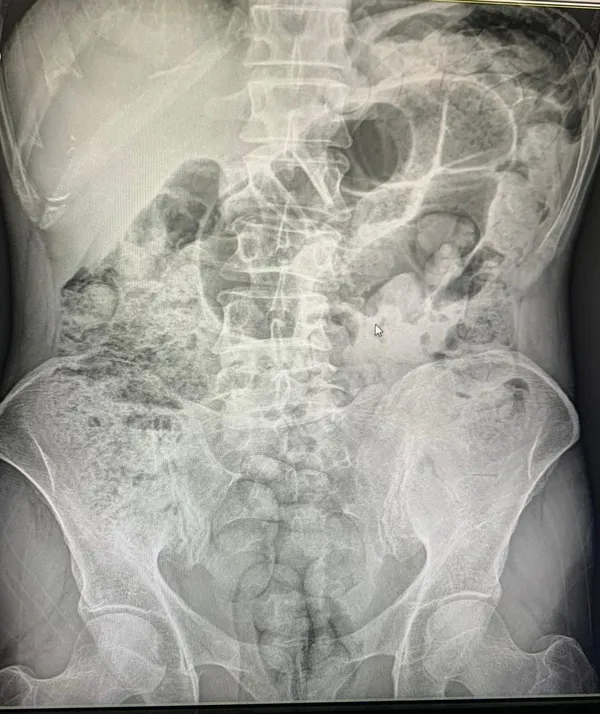
Sağlık ekipleri gözetiminde hastaneye sevk edilen şüpheliler, yaklaşık 10 gün süren tıbbi takip ve tedavi sürecinin ardından ameliyata alındı. Cerrahi müdahaleler sonucunda şüphelilerin midelerinden 119 paket halinde toplam 1 kilo 597 gram uyuşturucu madde çıkarıldı. Gözaltına alınan zanlılar, emniyetteki işlemlerinin tamamlanmasının ardından sevk edildikleri adli makamlarca tutuklanarak cezaevine gönderildi. Siirt Emniyet Müdürlüğü yetkilileri, uyuşturucu ticareti ve sevkiyatına karşı mücadelenin aralıksız ve kararlılıkla sürdürüleceğini vurguladı.
