Avanos ilçesindeki sazan balığı çiftliğinde yumurtadan sazan üretimi yapan ve Türkiye'nin çeşitli noktalarına satış yapan iş insanı Hasan Şahin tarafından fotoğraflanan balıklardaki yaralar balık severleri endişelendirdi.
Toplu balık ölümlerine enden olan hastalıkla ilgili Nevşehir Tarım ve Orman İl Müdürlüğü yetkililerinin harekete geçmesi beklenirken, ortaya çıkan sorun ırmakta balık avlayan veya ırmaktan alınan sazan balığı tüketenlerde korku oluşturdu.

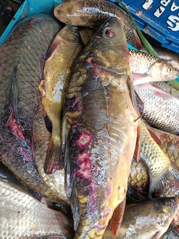
Balıkların pullarının altında kırmızı şekilde görülen yaraların toplu balık ölümlerine neden olduğunu belirten Şahin, yaklaşık bir aydır yoğunlaşan hastalığa herhangi bir çare bulunamadığını, çiftliğindeki binlerce sazan balığının ölümüne şahit olmaktan dolayı üzgün olduğunu söyledi.
Balıklarda görülen hastalığın yaptığı incelemeler sonucunda Bayram Hacılı Barajı'nda da görüldüğünü, bu önemli soruna ırmağa Kayseri'den atık bırakan fabrikaların neden olmuş olabileceğini belirtti.
Nevşehir Tarım ve Orman İl Müdürlüğünün konuyla ilgili inceleme yapması bekleniyor.